Back to Search
2801 Evans Rd, Apex, NC 27502
2801 Evans Rd, Apex, NC 27502
2801 Evans Rd, Apex, NC 27502
2801 Evans Rd, Apex, NC 27502
2801 Evans Rd, Apex, NC 27502
2801 Evans Rd, Apex, NC 27502
2801 Evans Rd, Apex, NC 27502

2801 Evans Rd Apex, NC 27502

$210,000

ACTIVE
Beds
Baths
Sqft
Acres
0.66
Year
Days on Site
22
Property Type
Land
Sub Type
Unimproved Land
Per Square Foot
$210,000
Date Listed
Feb 20, 2026

Description of 2801 Evans Rd, Apex, NC 27502

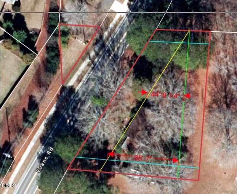
Listing details for 2801 Evans Rd, Apex, NC 27502 : This property is located within two miles of Apex Friendship Schools and directly across from the Traditions at Bella Casa Subdivision. The lot currently requires a well and septic system for utilities, but there is potential for city water connection with annexation, as the water line is conveniently across the street. According to the Town, the current zoning allows a buildable area that is 86-feet deep at its widest point and has a healthy 45-feet of depth more than halfway down the lot. This lot is an excellent choice for those seeking proximity to amenities. If you need further details or assistance with this property, feel free to ask! Seller does not have a soil report or survey.
Listing Updated : 03-12-2026 at 3:00 PM EDT
Home Details
2801 Evans Rd, Apex, NC 27502
Status
Active
MLS #ID
10147970
Price
$210,000
Bedrooms
Bathrooms
Square Footage
Acres
0.66
Year
Days on Site
22
Property Type
Land
Property Sub Type
Unimproved Land
Price per Sq Ft
$0
Date Listed
Feb 20, 2026
Community Information for 2801 Evans Rd, Apex, NC 27502
Address
2801 Evans Rd
City Apex
State
North Carolina
Zip Code 27502
County Wake
Utilities
Sewer
Septic Needed and Perc Test Required
Water Source
Need Well
Interior
Fireplace
No
Exterior
Roof
Foundation
HOA
Has HOA
None
Additional Information
Styles
Price per Sq Ft
$0
Listing Provided By

Katyna Bunn, 919-796-1678, Legacy Partners Realty, LLC

Source

Triangle, MLS, MLS#: 10147970

Comments
Home Worth Check

Interested in 2801 Evans Rd, Apex NC, 27502?

By proceeding, you consent to receive calls, texts and voicemails at the number you provided (may be recorded and may be autodialed and use prerecorded and artificial voices), and email, from Raleigh Realty about your inquiry and other home-related matters. Msg/data rates may apply. This consent applies even if you are on a do not call list and is not a condition of any purchase.

Location of 2801 Evans Rd, Apex, NC 27502

Google Map
Mortgage Calculator
Listing Price
Down Payment
Interest Rate
This beautiful home is located at 2801 Evans Rd, Apex, NC 27502 and is listed for sale at $210,000.00. This home was built in , contains square feet of living space, and sits on a 0.66 acre lot. This residential home is priced at $0.00 per square foot.

If you'd like to request a tour or more information on 2801 Evans Rd, Apex, NC 27502, please call us at 919​-249​-8536 so that we can assist you in your real estate search. To find homes like 2801 Evans Rd, Apex, NC 27502, you can search homes for sale in Apex , or visit the neighborhood of Not In A Subdivision , or by 27502 . We are here to help when you're ready to contact us!
Home Details
2801 Evans Rd, Apex, NC 27502
Status
Active
MLS #ID
10147970
Price
$210,000
Bedrooms
Bathrooms
Square Footage
Acres
0.66
Year
Days on Site
22
Property Type
Land
Property Sub Type
Unimproved Land
Price per Sq Ft
$0
Date Listed
Feb 20, 2026
Community Information for 2801 Evans Rd, Apex, NC 27502
Address
2801 Evans Rd
City Apex
State
North Carolina
Zip Code 27502
County Wake
Utilities
Sewer
Septic Needed and Perc Test Required
Water Source
Need Well
Interior
Fireplace
No
Exterior
Roof
Foundation
HOA
Has HOA
None
Additional Information
Styles
Price per Sq Ft
$0
Listing Provided By

Katyna Bunn, 919-796-1678, Legacy Partners Realty, LLC

Source

Triangle, MLS, MLS#: 10147970

Comments

Homes Similar to 2801 Evans Rd, Apex, NC 27502

Related Videos
HomeApexNot In A Subdivision
What's your home worth?
Have a top local Realtor give you a FREE Comparative Market Analysis