Back to Search
180 New Hope Church Rd, Apex, NC 27523
180 New Hope Church Rd, Apex, NC 27523 3D Tour
180 New Hope Church Rd, Apex, NC 27523 Explore 3D Tour
180 New Hope Church Rd, Apex, NC 27523
180 New Hope Church Rd, Apex, NC 27523
180 New Hope Church Rd, Apex, NC 27523
180 New Hope Church Rd, Apex, NC 27523

180 New Hope Church Rd Apex, NC 27523

$552,000

PENDING
Beds
Baths
Sqft
Acres
3.68
Year
Days on Site
156
Property Type
Land
Sub Type
Unimproved Land
Per Square Foot
$552,000
Date Listed
May 1, 2025

Description of 180 New Hope Church Rd, Apex, NC 27523

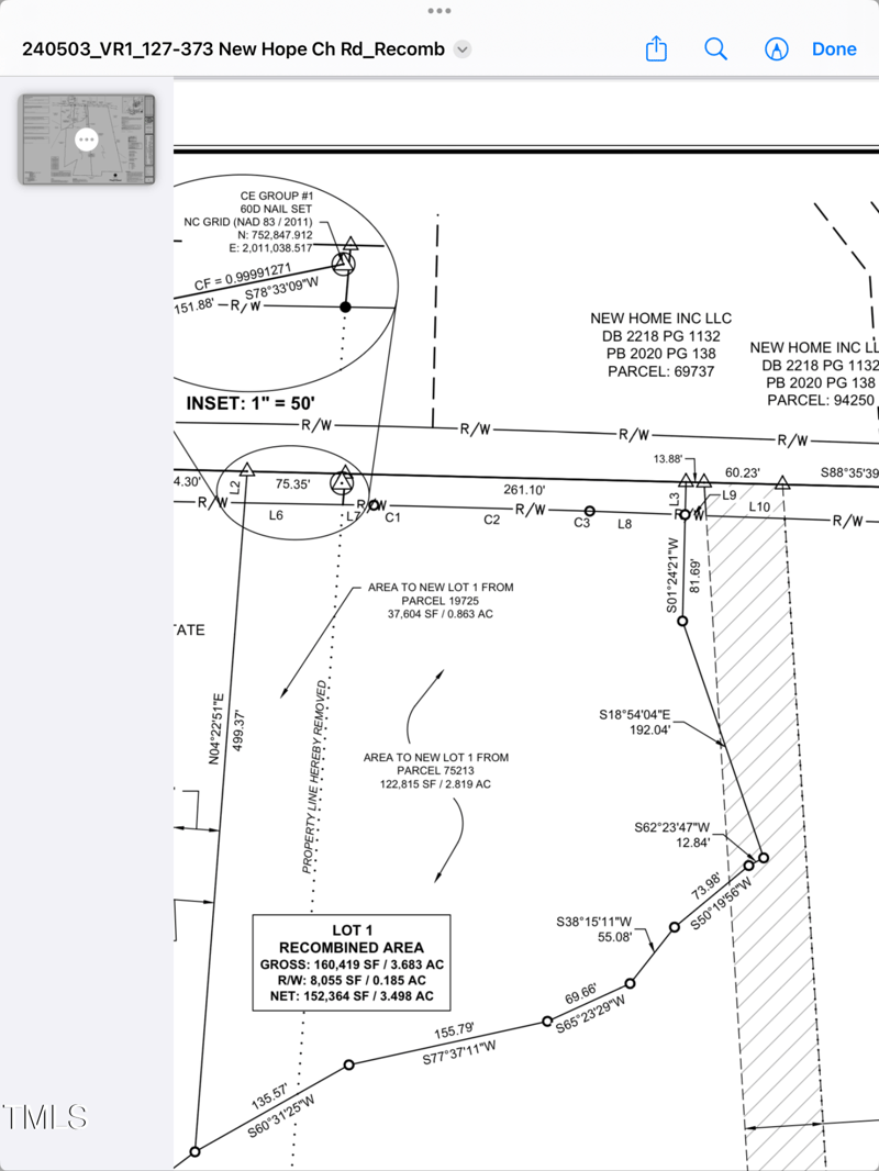
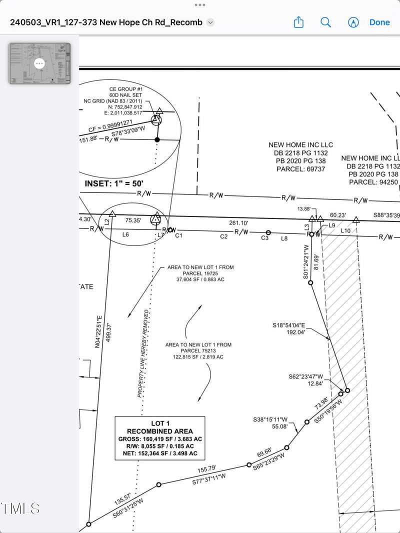
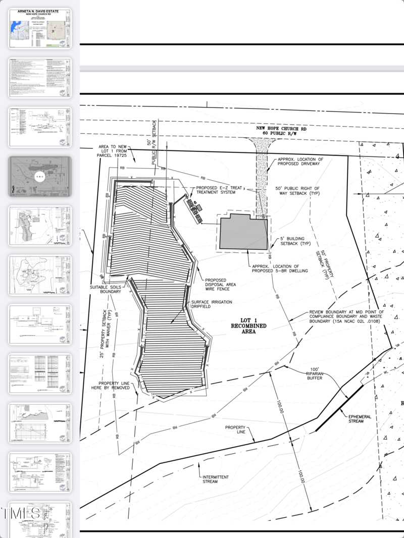
Listing details for 180 New Hope Church Rd, Apex, NC 27523 : Rare Opportunity to Build Your Dream Home on 3.68 Acres in Prime Apex/West Cary location! Discover the perfect blend of space, privacy, and location with this expansive 3.683-acre homesite—no HOA restrictions and endless potential. Tucked away just minutes from Jordan Lake, the New Hope Church Trailhead of the American Tobacco Trail, and Cary Diavolo Disc Golf Course, this property is a haven for outdoor enthusiasts and nature lovers. Enjoy the peace of the countryside while staying connected—just 9 minutes from the exclusive Old Chatham Golf Club and only 20 minutes to RTP, offering unbeatable access to both recreation and professional life. This parcel comes with an approved 5-bedroom septic permit, with a thoughtfully planned layout already in place (see attached map for proposed driveway, dwelling, and septic locations). The homesite is surrounded by majestic oak trees and a natural privacy buffer, set approximately 140 feet back from the road for added seclusion and tranquility. Don't miss this chance to create your own private retreat in one of the Triangle's most desirable areas. Schedule a visit today!
Listing Updated : 08-29-2025 at 05:30 PM EST
Home Details
180 New Hope Church Rd, Apex, NC 27523
Status
Pending
MLS #ID
10093007
Price
$552,000
Bedrooms
Bathrooms
Square Footage
Acres
3.68
Year
Days on Site
156
Property Type
Land
Property Sub Type
Unimproved Land
Price per Sq Ft
$0
Date Listed
May 1, 2025
Community Information for 180 New Hope Church Rd, Apex, NC 27523
Address
180 New Hope Church Rd
City Apex
State
North Carolina
Zip Code 27523
County Chatham
Utilities
Sewer
Septic Needed
Water Source
None
Interior
Fireplace
No
Exterior
Roof
Foundation
HOA
Has HOA
None
Additional Information
Styles
Price per Sq Ft
$0
Listed By

Mike Montpetit, 919-614-9100, Town & Country Realty, Inc.

Source

Triangle, MLS, MLS#: 10093007

Source Logo
Comments
Home Worth Check

Interested in 180 New Hope Church Rd, Apex NC, 27523?

By proceeding, you consent to receive calls, texts and voicemails at the number you provided (may be recorded and may be autodialed and use prerecorded and artificial voices), and email, from Raleigh Realty about your inquiry and other home-related matters. Msg/data rates may apply. This consent applies even if you are on a do not call list and is not a condition of any purchase.

Location of 180 New Hope Church Rd, Apex, NC 27523

Google Map
Mortgage Calculator
Listing Price
Down Payment
Interest Rate
This beautiful home is located at 180 New Hope Church Rd, Apex, NC 27523 and is listed for sale at $552,000.00. This home was built in , contains square feet of living space, and sits on a 3.68 acre lot. This residential home is priced at $0.00 per square foot.

If you'd like to request a tour or more information on 180 New Hope Church Rd, Apex, NC 27523, please call us at 919​-249​-8536 so that we can assist you in your real estate search. To find homes like 180 New Hope Church Rd, Apex, NC 27523, you can search homes for sale in Apex , or visit the neighborhood of Not In A Subdivision , or by 27523 . We are here to help when you're ready to contact us!

Schools Near 180 New Hope Church Rd, Apex, NC 27523

Home Details
180 New Hope Church Rd, Apex, NC 27523
Status
Pending
MLS #ID
10093007
Price
$552,000
Bedrooms
Bathrooms
Square Footage
Acres
3.68
Year
Days on Site
156
Property Type
Land
Property Sub Type
Unimproved Land
Price per Sq Ft
$0
Date Listed
May 1, 2025
Community Information for 180 New Hope Church Rd, Apex, NC 27523
Address
180 New Hope Church Rd
City Apex
State
North Carolina
Zip Code 27523
County Chatham
Utilities
Sewer
Septic Needed
Water Source
None
Interior
Fireplace
No
Exterior
Roof
Foundation
HOA
Has HOA
None
Additional Information
Styles
Price per Sq Ft
$0
Listed By

Mike Montpetit, 919-614-9100, Town & Country Realty, Inc.

Source

Triangle, MLS, MLS#: 10093007

Source Logo
Comments

Homes Similar to 180 New Hope Church Rd, Apex, NC 27523

Related Blogs
Related Videos
HomeApexNot In A Subdivision
What's your home worth?
Have a top local Realtor give you a FREE Comparative Market Analysis