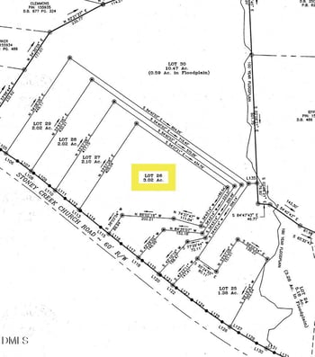
> $65,000 Active --Beds--Baths--Sqft2.02Acres 2909 Stoney Creek Church, Burlington, NC 27217 MLS#: 10135731
> $65,000 Active --Beds--Baths--Sqft2.1Acres 2899 Stoney Creek Church Rd, Burlington, NC 27217 MLS#: 10135730
> $112,000 Active --Beds--Baths--Sqft3.02Acres 2889 Stoney Creek Church Rd, Burlington, NC 27217 MLS#: 10135726